
Detalhes do imóvel
-
Distrito
Aveiro -
Concelho
Oliveira de Azeméis -
Localidade
Pinheiro da Bemposta
-
Area
3570 m²
-
Preço
122.000 € -
Certificado Energético
I
-
Código interno
IT-9314
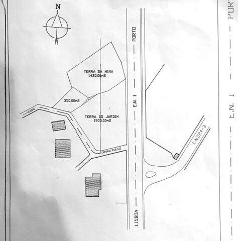
Descrição
* capacidade construção* área terreno1: 2.110 m²* área terreno2: 1.460 m²* acessos por estrada e caminhos servidão* local elevado com vistas para o mar e ria de AveiroDois terrenos planos rústicos com capacidade construtiva localizado junto á estrada nacional 1 (N1) no Pinheiro da Bemposta OAZ, com elevado potencial de investimento.Comprar terreno em Pinheiro da Bemposta?Marque já uma visita.Impacto, a sua imobiliária.N.ª Ref.ª 9314Coloque o seu imóvel para venda / arrendamento diretamente no nosso site.No separador "Vender Imóvel" preencha os dados pedidos. Será de seguida contactado para concluir.Porquê comprar e vender com a Impacto?- Somos especialistas no mercado imobiliário;- Os nossos colaboradores, são profissionais e conhecedores do mercado;- Estamos comprometidos em negociar no seu interesse;- Temos uma ótima divulgação, para facilitar a venda/compra da sua casa;- Estamos no mercado há mais de 20 anos;- Apoiamos no processo de financiamento;- Acompanhamos a avaliação do imóvel;- Acompanhamos todos os atos do CPCV e da Escritura Pública/Título/DPA.Contacte-nos através do telefone ou email.Visite o nosso Website e a nossa página de Facebook."